Property Description
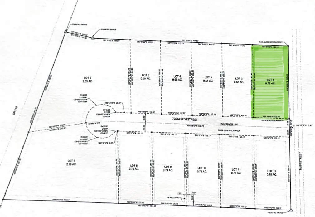
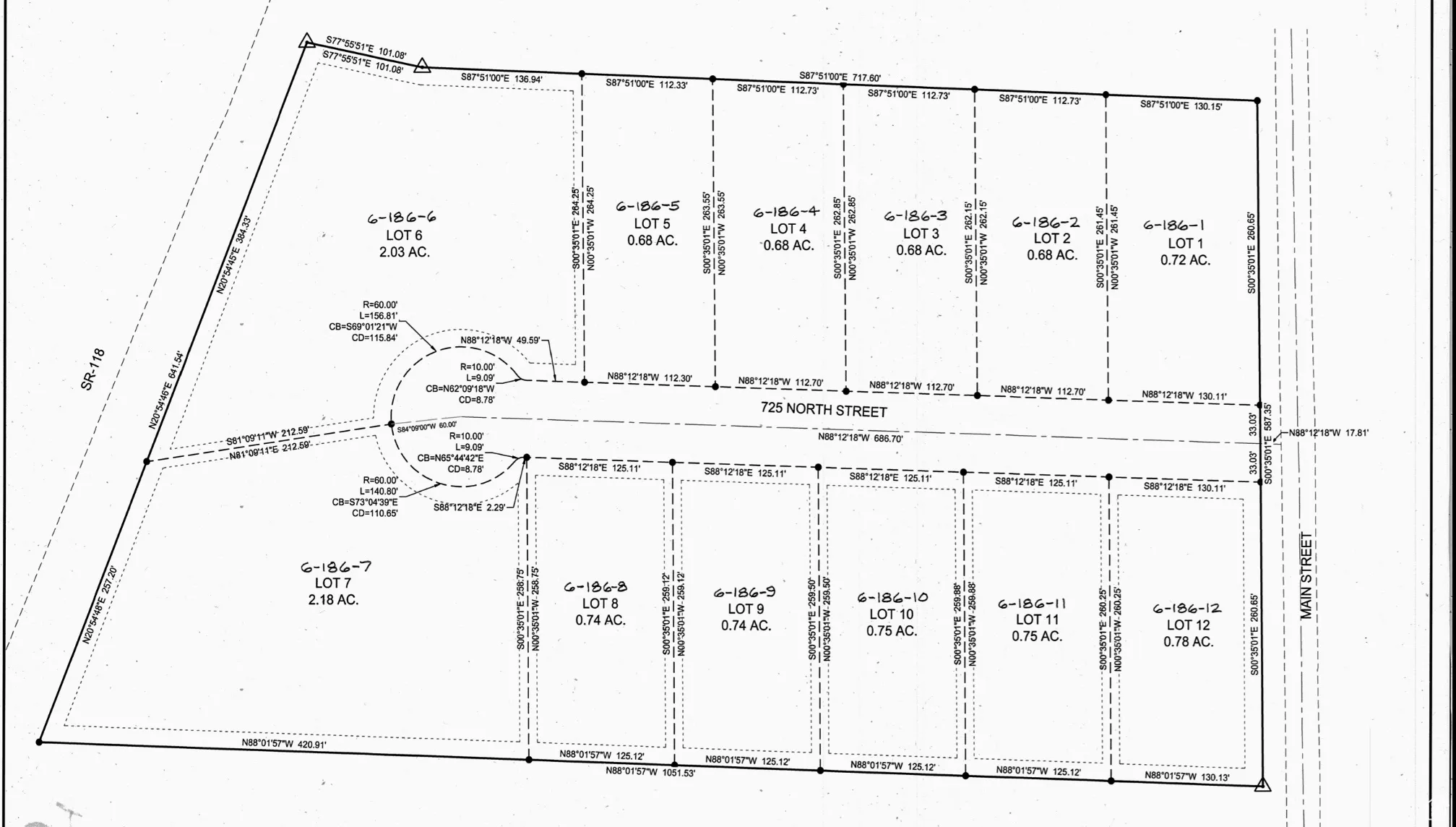
Take a look at Sevier County’s newest subdivision, Cove Peak Estates. Located at the North end of Central Valley, just off Central Valley main street and borders east side of HWY 118. These lots will mirror the love that Central Valley has for country life and will follow the local rules for life style and animal rights. This subdivision has all utilities stubbed to each lot. Lot addresses are approximate and are described as the lot # on 725 North Central Valley. Seller to offer $5,000 credit towards impact fee on full price offers. Buyers and agents to verify all listing information.
Features
- Sewer:
- Septic Tank
- Utilities:
- Power: Not Connected, Gas: Stubbed, Power: Stubbed, Sewer: Septic Tank, Gas: Not Connected
Address Map
- Country:
- US
- State:
- UT
- County:
- Sevier
- City:
- Central Valley
- Zipcode:
- 84754
- Street:
- 725
- Street Number:
- 1
- Longitude:
- W115° 54' 12.6''
- Latitude:
- N51° 33' 1.9''
- Directions:
- Parcel # 6-186-1
- Mls Area Major:
- South Sevier
- Street Dir Prefix:
- W
- Street Dir Suffix:
- N
- Unit Number:
- 1
- Zoning:
- Single-Family
Neighborhood
- Elementary School:
- Ashman
- Elementary School District:
- Sevier
- High School:
- Richfield
- High School District:
- Sevier
- Middle Or Junior School District:
- Sevier
- Middle School:
- Red Hills
Additional Information
- Lot Size Dimensions:
- 0.0x0.0x0.0
- On Market Date:
- 2025-01-06
- Lot Features:
- View: Mountain, Fenced: Part, Horse Property, Cul-De-Sac, Terrain: Flat
- Current Use:
- Residential
Financial
- Tax Annual Amount:
- 822.0
Listing Information
- List Agent Mls Id:
- 97260
- List Office Mls Id:
- 71598
- Listing Term:
- Cash, Conventional
- Mls Status:
- Active
- Modification Timestamp:
- 2026-01-15T16:28:23Z
- Originating System Name:
- WFRMLS
Land For Sale
Unit 1, Central Valley, Utah 84754
0.72 Acre
$124,900
Listing ID #2057542
Basic Details
- Property Type :
- Land
- Listing Type :
- For Sale
- Listing ID :
- 2057542
- Price :
- $124,900
- Lot Area :
- 0.72 Acre
- Status :
- Active
- Office Name :
- Red Rock Real Estate LLC (Central)
- Agent Name :
- Jeramy Johnson
- Listing Status :
- Active
- Property Sub Type :
- Residential
Agent info
- Platinum Real Estate Professionals
- (435) 250-3355
-
platinum.pros.utah@gmail.com
Mortgage Calculator
Contact Agent











